Если цена в объявлении изменится, мы сразу сообщим вам об этом на электронную почту.
Нажимая «Подписаться», вы соглашаетесь с правилами.
продам дом, Короткий переулок3 500 000 ₽
29 ноя
Дата публикации объявления
Обн. 29 мар
Дата обновления объявления
1
Количество просмотров (+ просмотры за сегодня)
49 716 ₽/м²
Чистая продажа
Термин "Чистая продажа" означает, что в квартире никто не прописан или
есть куда выписаться и вывезти вещи. Это лучший вариант для покупателя.
Вероятность срыва сделки минимальна.
Площадь участка48,32 соток
Общая площадь70,4 м2
Материал домакирпич
ЭлектричествоЕсть
Газоснабжениецентральное
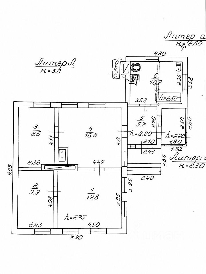
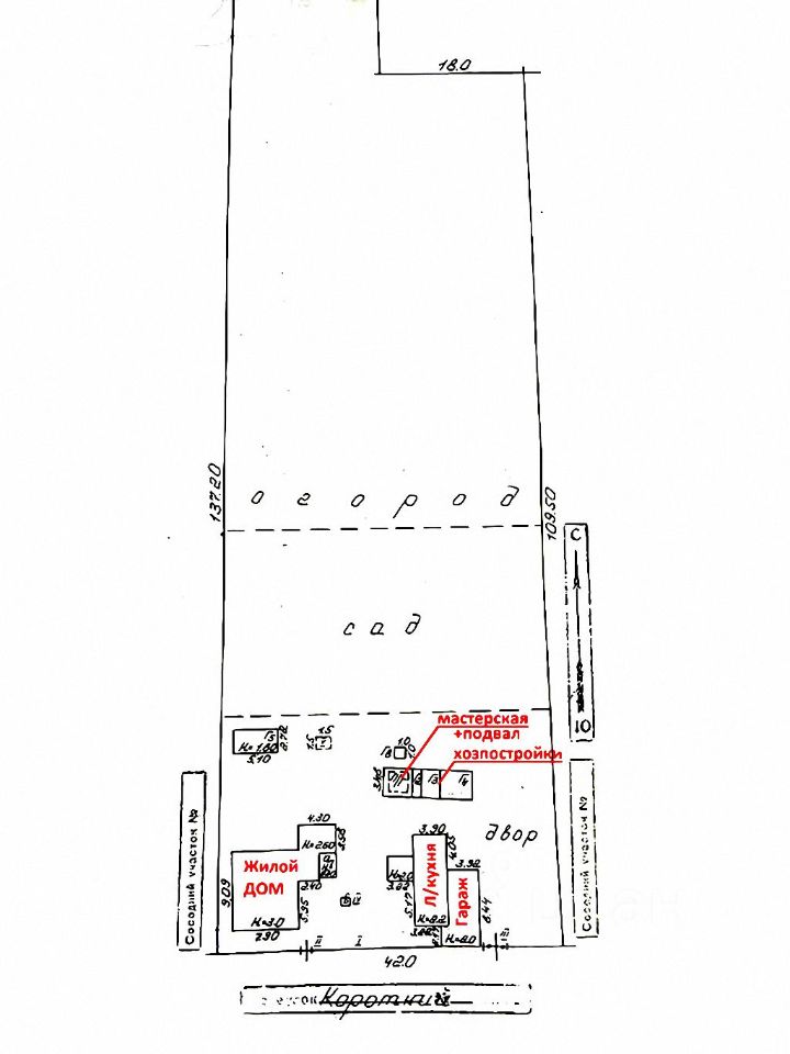
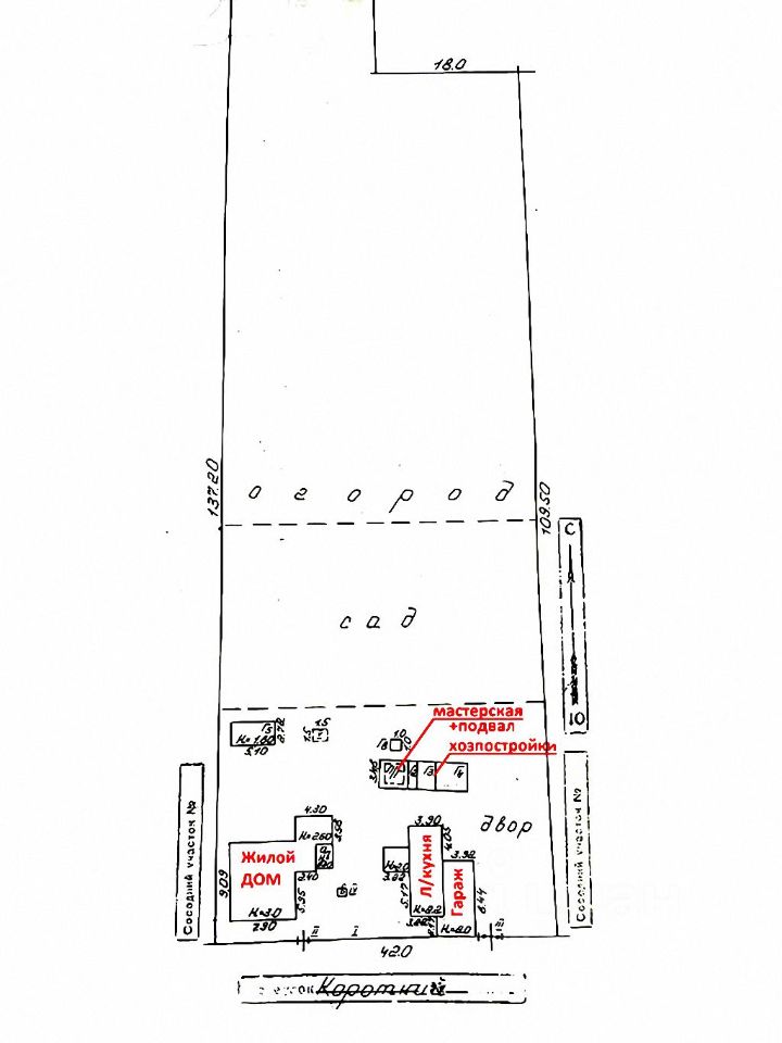
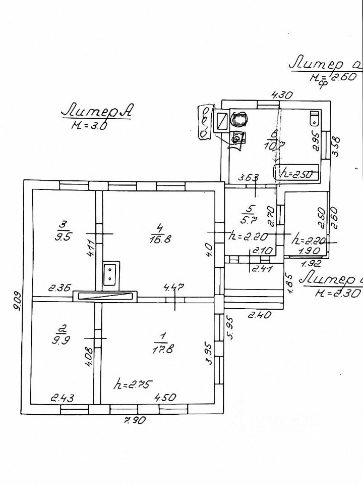
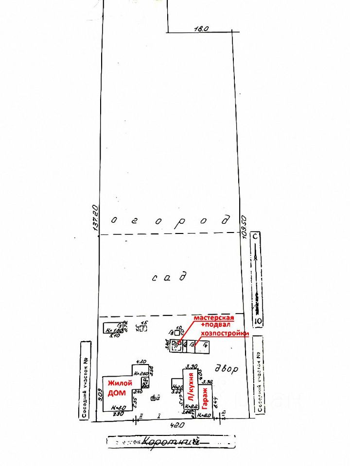
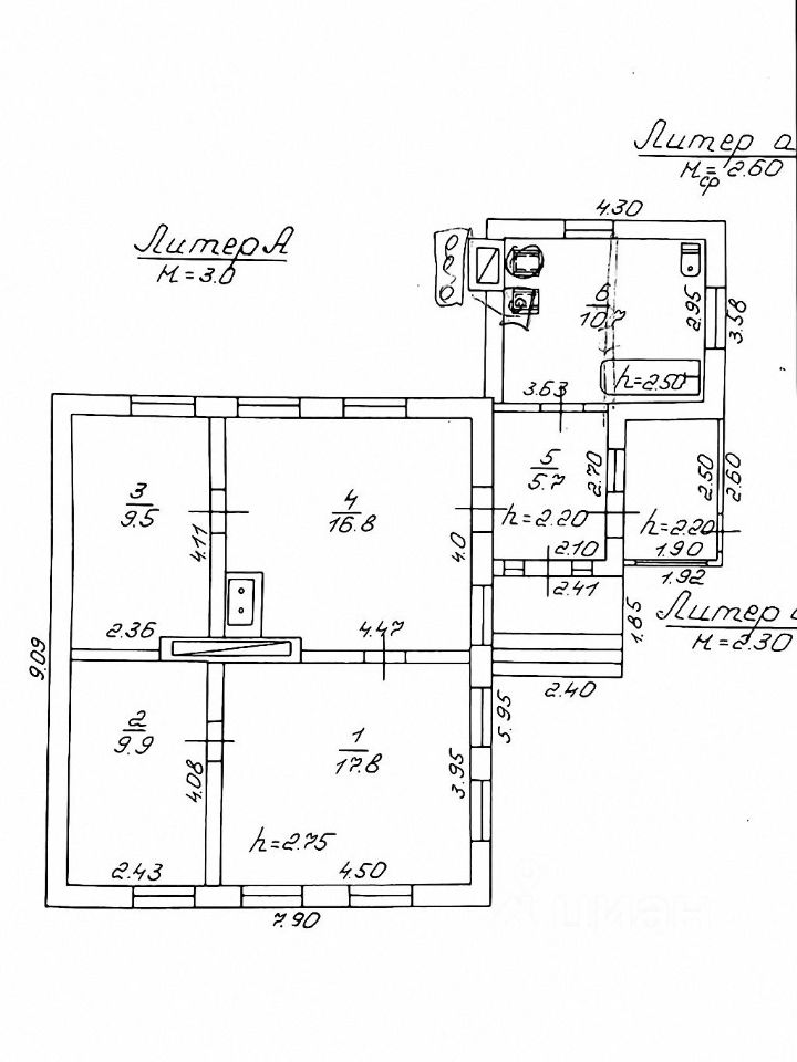
Станица Нововладимировская, пер. Короткий. Жилой кирпичный дом 1960 г. п. Общая площадь 70,4 кв. м, жилая 37,2. Четыре комнаты (17,8+16,8+9,9+9,5), коридор 5,7 кв. м., помещение для совмещённого санузла -10,7 кв. м. Высота комнат - 2,75. НАЧАТ КАПИТАЛЬНЫЙ РЕМОНТ. Газ, вода, свет (3фазы), отопление, ВСЕ КОММУНИКАЦИИ НОВЫЕ. Установлены МПО, новые: котёл, газовая колонка и крыша. На участке есть ВТОРОЙ ДОМИК летняя кухня (комната, кухня, совмещённый санузел, коридор, веранда) С ОТОПЛЕНИЕМ И ВСЕМИ КОММУНИКАЦИЯМИ. Площадь - 40 кв. м. Состояние - ЖИЛОЕ. Есть навес с подведённым газом (летняя кухонная зона). Капитальные хозяйственные постройки, мастерская, подвал, гараж со смотровой ямой, БАЗ для КРС и прочей живности. Земельный участок 4 832 кв. м, ЛПХ. Фасад 42 м. Широкая улица.
Станица Нововладимировская, пер. Короткий. Жилой кирпичный дом 1960 г. п. Общая площадь 70,4 кв. м, жилая 37,2. Четыре комнаты (17,8+16,8+9,9+9,5), коридор 5,7 кв. м., помещение для совмещённого санузла -10,7 кв. м. Высота комнат - 2,75. НАЧАТ КАПИТАЛЬНЫЙ РЕМОНТ. Газ, вода, свет (3фазы), отопление, ВСЕ КОММУНИКАЦИИ НОВЫЕ. Установлены МПО, новые: котёл, газовая колонка и крыша. На участке есть ВТОРОЙ ДОМИК летняя кухня (комната, кухня, совмещённый санузел, коридор, веранда) С ОТОПЛЕНИЕМ И ВСЕМИ КОММУНИКАЦИЯМИ. Площадь - 40 кв. м. Состояние - ЖИЛОЕ. Есть навес с подведённым газом (летняя кухонная зона). Капитальные хозяйственные постройки, мастерская, подвал, гараж со смотровой ямой, БАЗ для КРС и прочей живности. Земельный участок 4 832 кв. м, ЛПХ. Фасад 42 м. Широкая улица. Произведена замена центрального водопровода. В шаговой и пешей доступности школа, детский сад, больница, дворец культуры, почта, любые магазины, автобусные остановки. Цена: 3 млн. 500 тыс. руб. ТОРГ. P.S.: Станица Нововладимировская - Административный центр Нововладимировского сельского поселения в Тбилисском районе Краснодарского края. Население около 1700 жителей. В поселении развита инфраструктура: есть школа, детский сад, больница, дворец культуры, почта, магазины, база отдыха, асфальтированные дороги. Станица расположена в верховьях реки Бейсуг, в степной зоне, в 20 км к северу от районного центра — станицы Тбилисской. Отличное место для любителей рыбалки, сельскохозяйственной деятельности и животноводства. Расстояния до ближайших и крупнейших городов (по автодорогам): районный центр: Тбилисская - 21 км. областной центр: Краснодар 129 км. аэропорт: Пашковский - 119 км. Кропоткин 56км. Армавир 126 км. Ростов-на-Дону 216 км. Москва 1287 км. до Азовского моря (г.Ейск) 239 км. до Черного моря: Анапа 293 км. Джубга 224 км. Новороссийск 279 км. Сочи 394 км.