Если цена в объявлении изменится, мы сразу сообщим вам об этом на электронную почту.
Нажимая «Подписаться», вы соглашаетесь с правилами.
продам дом, Дружбы, 2а5 200 000 ₽
1 мар 2025
Дата публикации объявления
Обн. 1 мая
Дата обновления объявления
10
Количество просмотров (+ просмотры за сегодня)
65 327 ₽/м²
Чистая продажа
Термин "Чистая продажа" означает, что в квартире никто не прописан или
есть куда выписаться и вывезти вещи. Это лучший вариант для покупателя.
Вероятность срыва сделки минимальна.
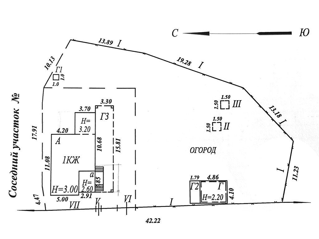
Площадь участка11,08 соток
Общая площадь79,6 м2
Материал домакирпич
ЭлектричествоЕсть
Газоснабжениецентральное
Станица Тбилисская, ул. Дружбы район Автовокзала. Жилой кирпичный дом 1985 г. п. Общая площадь - 79,6 кв. м., жилая - 46,1. Три комнаты (16,4+15,1+14,6), кухня 11,5 кв. м, совмещённый санузел - 4,2, коридор 8,9 кв. м, прихожая 8,9. Газ, вода, котёл, все коммуникации новые. Произведён капитальный ремонт, утеплены наружные стены, крыша новая. Двор навес, бетон. На участке есть просторная летняя кухня, подвал, навес, хозпостройки, плодовые деревья. Участок угловой, площадью 1108 кв. м, под ЛПХ. ФАСАД - 42,22 м. Спокойный и тихий район. Центр со всей инфраструктурой в пешей доступности. Цена: 5 млн. 200 тыс. руб. ТОРГ. P.S.: Станица Тбилисская - административный центр Тбилисского района Краснодарского края.
Станица Тбилисская, ул. Дружбы район Автовокзала. Жилой кирпичный дом 1985 г. п. Общая площадь - 79,6 кв. м., жилая - 46,1. Три комнаты (16,4+15,1+14,6), кухня 11,5 кв. м, совмещённый санузел - 4,2, коридор 8,9 кв. м, прихожая 8,9. Газ, вода, котёл, все коммуникации новые. Произведён капитальный ремонт, утеплены наружные стены, крыша новая. Двор навес, бетон. На участке есть просторная летняя кухня, подвал, навес, хозпостройки, плодовые деревья. Участок угловой, площадью 1108 кв. м, под ЛПХ. ФАСАД - 42,22 м. Спокойный и тихий район. Центр со всей инфраструктурой в пешей доступности. Цена: 5 млн. 200 тыс. руб. ТОРГ. P.S.: Станица Тбилисская - административный центр Тбилисского района Краснодарского края. Расположена в центральной части Краснодарского края, на правом берегу реки Кубань, в 100 км на северо-восток от Краснодара, и на высоте около 102—105 метров над уровнем моря. Протяжённость станицы с запада на восток около 10 километров. Население — около 25 317 жителей. В станице весьма развита инфраструктура. В ней есть дошкольные учреждения, общеобразовательные школы, а так же церковно-приходская школа и школа искусств, библиотеки, кинотеатр, клубы, различные секции и кружки, коллективы народной самодеятельности, стадионы. Работает филиал МФЦ. На территории станицы действуют несколько крупных сельскохозяйственных и перерабатывающих предприятий: Тбилисский маслосырзавод, Тбилисский сахарный завод, маслопрессовый завод, предприятие по производству комбинированных кормов, семенной завод, завод Центр Соя, элеватор. Развита сеть торговых супермаркетов. В Тбилисской находятся два православных прихода Тихорецкой епархии Кубанской митрополии Русской Православной Церкви. Это Свято-Покровский храм и Храм святого апостола Андрея Первозванного. По северной окраине станицы проходит автомобильная дорога регионального значения Р251 Темрюк — Краснодар — Кропоткин, которая соединяет федеральные автодороги М4 Дон, и М29 Кавказ. В центре станицы расположена автостанция через которую проходят транзитные междугородные автобусные маршруты, а также автобусные маршруты местного назначения. В станице расположена и железнодорожная станция Гречишкино на линии Краснодар — Кавказская, Северо-Кавказской железной дороги. В станице действует 5 автобусных маршрутов, также существует несколько служб такси. Расстояние до крупнейших и ближайших городов (по автодорогам) Кропоткин 33 км. Краснодар 108 км. Майкоп 134 км. Армавир 107 км. Ставрополь 198 км. Ростов-на-Дону 257 км. Москва 1 309 км. до Азовского моря (г.Ейск) 260 км. до Черного моря: Анапа 278 км. Джубга 205 км. Новороссийск 270 км. Симферополь 549 км. Сочи 354 км.