Если цена в объявлении изменится, мы сразу сообщим вам об этом на электронную почту.
Нажимая «Подписаться», вы соглашаетесь с правилами.
продам дом, Красная, 3102 600 000 ₽
28 дек 2024
Дата публикации объявления
Обн. 30 апр
Дата обновления объявления
5
Количество просмотров (+ просмотры за сегодня)
46 099 ₽/м²
Чистая продажа
Термин "Чистая продажа" означает, что в квартире никто не прописан или
есть куда выписаться и вывезти вещи. Это лучший вариант для покупателя.
Вероятность срыва сделки минимальна.
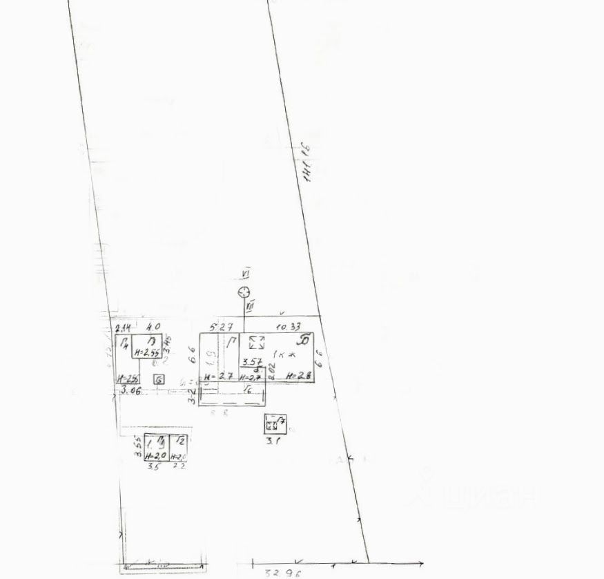
Площадь участка41 сотка
Общая площадь56,4 м2
Материал домакирпич
ЭлектричествоЕсть
Газоснабжениецентральное
Кадастровый номер земельного участка 23:32:0302006:123. Кирпичное домовладение,кровля - шифер, о.п. 56,4 кв.м., расположенное в ст. Фастовецкая по ул. Красная.
Состоит из одной комнаты, кухни, с/у и коридора. На стенах обои нейтральных цветов, потолок побелен, пол застелен листами ДВП. На кухне стены и потолки побелены, пол застелен линолеумом. Есть погреб. С/у совмещенный, окрашен и, частично, облицован кафелем. Установлены металлопластиковые окна. Счетчики на все коммуникации. Спутниковое ТВ. Отопление - напольный газовый котел. Входная дверь - деревянная.
Перед входом в дом построен капитальный навес. Из хоз построек: кирпичный гараж со смотровой ямой и светом, кирпичная летняя кухня, недостроенная баня из сруба, уличная колонка для полива, уличные удобства.
Кадастровый номер земельного участка 23:32:0302006:123. Кирпичное домовладение,кровля - шифер, о.п. 56,4 кв.м., расположенное в ст. Фастовецкая по ул. Красная.
Состоит из одной комнаты, кухни, с/у и коридора. На стенах обои нейтральных цветов, потолок побелен, пол застелен листами ДВП. На кухне стены и потолки побелены, пол застелен линолеумом. Есть погреб. С/у совмещенный, окрашен и, частично, облицован кафелем. Установлены металлопластиковые окна. Счетчики на все коммуникации. Спутниковое ТВ. Отопление - напольный газовый котел. Входная дверь - деревянная.
Перед входом в дом построен капитальный навес. Из хоз построек: кирпичный гараж со смотровой ямой и светом, кирпичная летняя кухня, недостроенная баня из сруба, уличная колонка для полива, уличные удобства. Канализация - септик. Земельный участок 41 сотка, с плодовыми деревьями (яблоня, слива, айва), есть виноград. Огород имеет выход к реке Тихонькая. Железный забор, ширина фасада 32,96 м.. Перед двором есть место для стоянки автомобиля.
В самой станице инфраструктура района развита, есть магазины различных групп товаров, детский сад, общеобразовательная школа, больница, Дом культуры, амбулатория, церковь, остановки общественного транспорта, словом сказать, есть все для комфортной жизни. Расстояние до города Тихорецка, примерно, 11 км..